TEL: 0991-6768299

产品展示

新陆早60号

新陆早60号



新陆早60号属早熟陆地棉,生育期123天左右,近几年经过北疆一些早熟棉区示范以及大面积的种植,种植户评价都很高,早熟抗病产量好,绒长色白衣分高,是一款深受广大经销商和种植户喜爱的品种。








特征特性

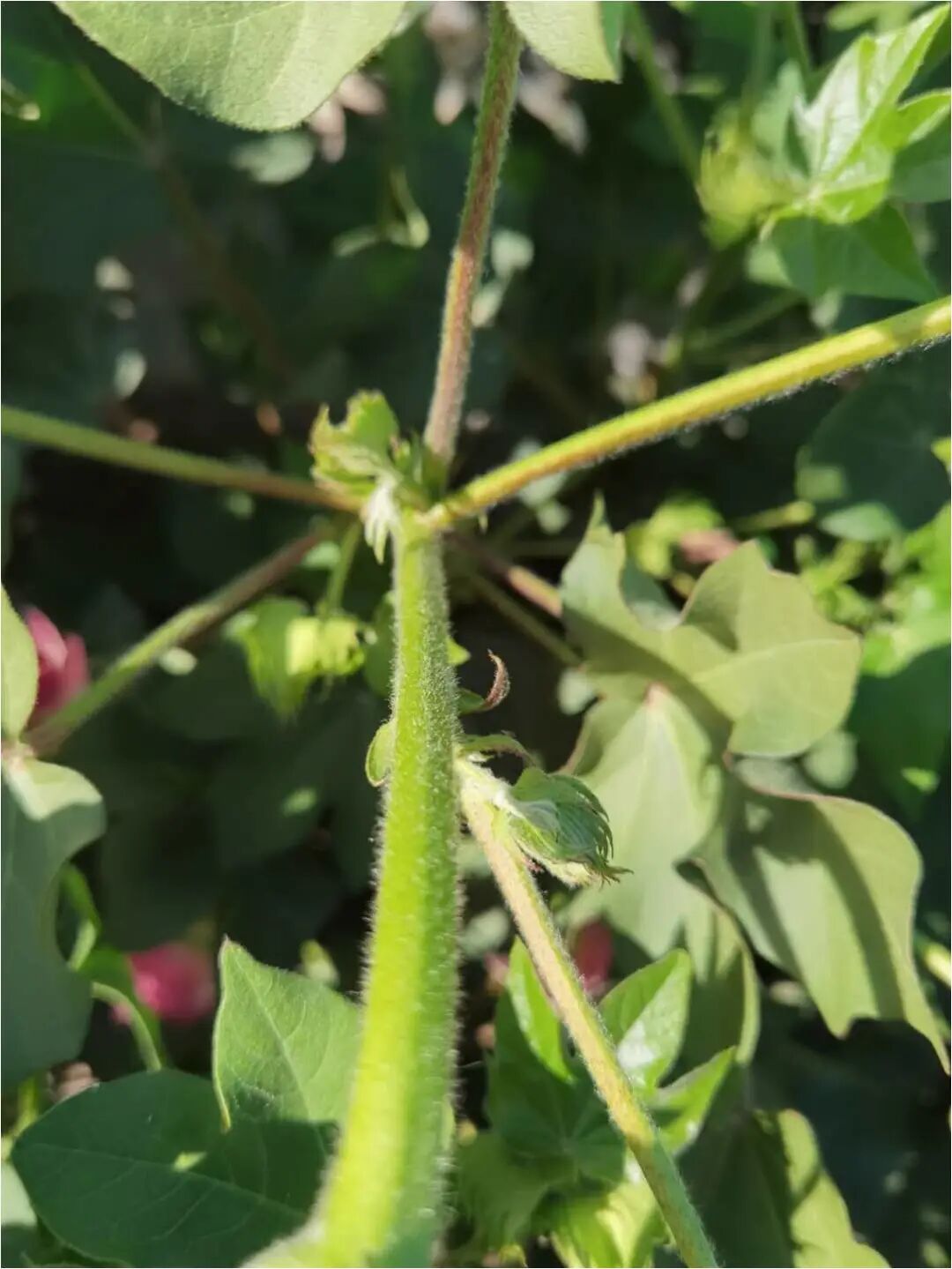
该品种生育期123天左右,植株塔型,茎杆色青毛多,无限果枝,叶片大小适中,叶色中绿,全生育期长势稳健,结铃性强,铃卵圆形中等偏大,朵大易采摘,易机采。单株结铃10.5个,铃重6.3g左右,衣分44%左右,绒长30.5mm,断裂比强度29.2cN/tex,马克隆值4.6,具有较强的拒蚜性。吐絮畅、易采花。属抗枯耐黄品种。



突出优点

茎杆有绒毛,抗蚜性好


抗枯、黄萎病,抗逆性强


新陆早60号花期


现蕾早,花捏多



新陆早60号


早熟性好,结铃性强

吐絮畅,絮肥大



新陆早60号吐絮期


青枝绿叶吐白絮




栽培要点


蓟马、盲蝽象的防治





叶面喷施营养肥料

保证苗期正常生长





中耕提高地温、防治土地板结,促进根系生长




预防病虫害的发生,尤其是蚜虫做到

以防为主,提前预防